Search All Real Estate Listings
QUICK SEARCH
|
search sponsored by:  |
|
|
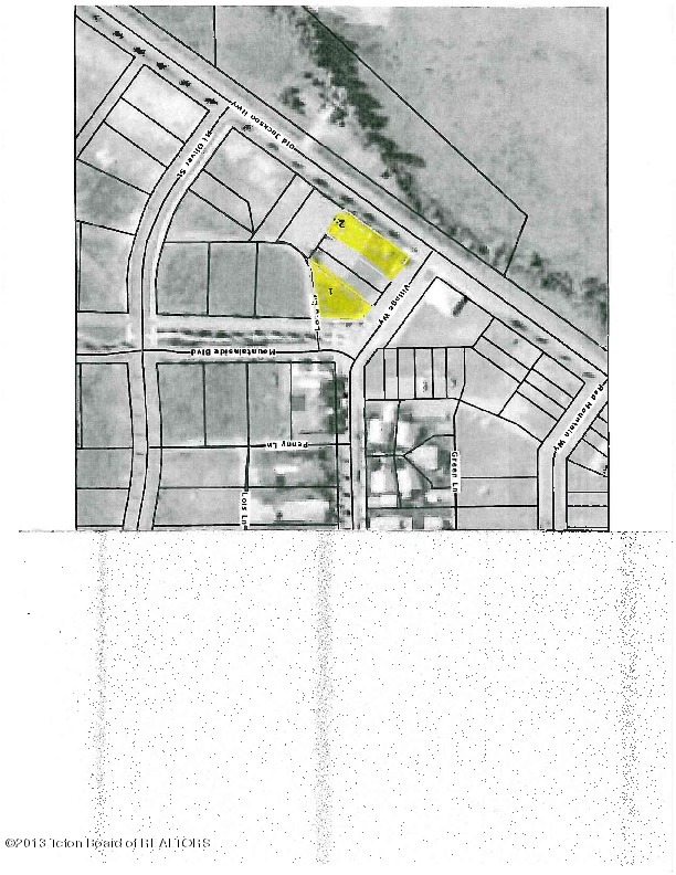
| Building Site - Victor, ID 940 S OLD JACKSON HIGHWAY Victor, ID |
$85,000 |
|
|
|
Description
Great commercial opportunity in a LEED certified community. Be a part of Mountainside Village with this lot that sits on the corner of the Old Jackson Highway and Village Way.
|
| Location: |
Victor, ID |
Zip Code: |
83455 |
| Bedroom: |
0 |
Bath: |
0 |
| Size: |
0 |
Acreage: |
0.17 |
| Garage: |
|
Basement: |
|
| Year Built: |
|
Tax Year: |
|
| Neighborhood: |
Mountainside Village |
County: |
3yd-TBORWY-13-626 |
| MLS #: |
13-626 |
|
|
|
|
|
Amenities
- Roof: Unknown
- Architecture Style: Other
|
Offered by:
Teton Valley Realty
|
Virtual Tour:
|
|