- SEARCH ALL Listings
-
- MORTGAGE CALCULATOR
-
Price: $ Interest Rate: Down Payment: $ Mortgage Term: Payment: $
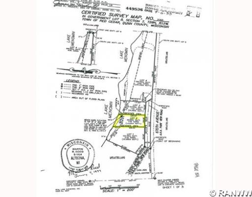
$119,900Vacant Land in Menomonie


| Address: | Lot 2 539th St | ||
| Area: | 16 - Menomonie Schl/Out | Price: | $119,900 |
| Zip Code: | 54751 | Size: | 0 |
| County: | Dunn | Bedroom: | |
| Lake/River: | Red Cedar | Bath: | |
| School District: | Menomonie | Acreage: | 1 |
| Year Built: | Basement: | ||
| MLS #: | 822047 | Garage: | |
Description: Ready to make your dream home, cabin or cottage a reality? Build it on this one acre lot boasting 150 feet of Red Cedar River frontage just south of the dam. Conveniently located between Menomonie and Cedar Falls on a paved, secluded, dead end road and only a short boat ride to Lake Menomin. Partially wooded with some space cleared for a building site and a gentle slope to the river.
Amenities
|
- REAL ESTATE TOOLS
Lot 2 539th St Menomonie, WI
Add to Clipboard
View Clipboard
Email This Listing
Print This Page