- SEARCH ALL Listings
-
- MORTGAGE CALCULATOR
-
Price: $ Interest Rate: Down Payment: $ Mortgage Term: Payment: $
$35,000Vacant Land in Cable


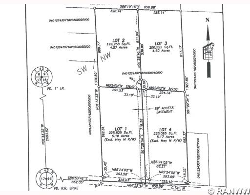
| Address: | Lot 1 Hwy M | ||
| Area: | 56 - Drummond Schl Dist | Price: | $35,000 |
| Zip Code: | 54821 | Size: | 0 |
| County: | Bayfield | Bedroom: | |
| Lake/River: | Bath: | ||
| School District: | Drummond | Acreage: | 5.18 |
| Year Built: | Basement: | ||
| MLS #: | 372848 | Garage: | |
Description: Newly created building sites. Well wooded, level terrain, some large pine and convenient location. Act now and have your pick of these fine sites. Agent owned.
Amenities
|
- REAL ESTATE TOOLS
Lot 1 Hwy M Cable, WI
Add to Clipboard
View Clipboard
Email This Listing
Print This Page