- SEARCH ALL Listings
-
- MORTGAGE CALCULATOR
-
Price: $ Interest Rate: Down Payment: $ Mortgage Term: Payment: $
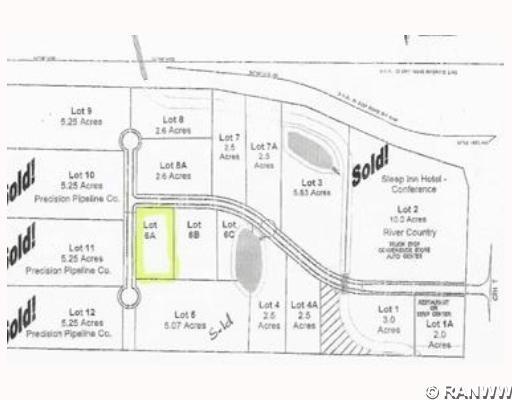
$110,000Vacant Land in Eau Claire


| Address: | 0 HWY T - HWY 29 | ||
| Area: | 12 - Chippewa Falls Schl/Out | Price: | $110,000 |
| Zip Code: | 54729 | Size: | 0 |
| County: | Eau Claire | Bedroom: | |
| Lake/River: | Bath: | ||
| School District: | Chippewa Falls | Acreage: | 1.69 |
| Year Built: | Basement: | ||
| MLS #: | 817899 | Garage: | |
Description: New commercial area. Some lots have good HWY 29 visibility. Others have average visibility. Location of Cenex Travel Center and Hote. A controlled intersection (stop lights) for easy in & out. Lots varay in size from 2 to 14 acres and vary based on location. Pricing is $0.60 to $2.75/sf. The number in acreage is square feet
Amenities
|
- REAL ESTATE TOOLS
0 HWY T - HWY 29 Eau Claire, WI
Add to Clipboard
View Clipboard
Email This Listing
Print This Page