- SEARCH ALL Listings
-
- MORTGAGE CALCULATOR
-
Price: $ Interest Rate: Down Payment: $ Mortgage Term: Payment: $
$34,900Vacant Land in Chippewa Falls


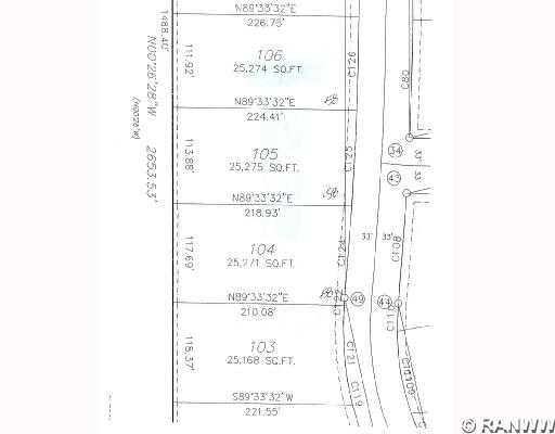
| Address: | Lot 106 135th St | ||
| Area: | 12 - Chippewa Falls Schl/Out | Price: | $34,900 |
| Zip Code: | 54729 | Size: | 0 |
| County: | Chippewa | Bedroom: | |
| Lake/River: | Bath: | ||
| School District: | Chippewa Falls | Acreage: | 0.58 |
| Year Built: | Basement: | ||
| MLS #: | 606710 | Garage: | |
Description: Great location and affordable price/Over half an acre lot/future home to be built by Ruppert Construction.
Amenities
|
- REAL ESTATE TOOLS
Lot 106 135th St Chippewa Falls, WI

Sell My Home
My Home Worth
Schedule Viewing
Add to Clipboard
View Clipboard
Email This Listing
Print This Page