- SEARCH ALL Listings
-
- MORTGAGE CALCULATOR
-
Price: $ Interest Rate: Down Payment: $ Mortgage Term: Payment: $
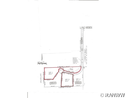
$35,000Vacant Land in Ellsworth


| Address: | N3550 670th St | ||
| Area: | 21 - St.Croix and Pierce | Price: | $35,000 |
| Zip Code: | 54011 | Size: | 0 |
| County: | Pierce | Bedroom: | |
| Lake/River: | Bath: | ||
| School District: | Ellsworth | Acreage: | 6.44 |
| Year Built: | Basement: | ||
| MLS #: | 832079 | Garage: | |
Description: Spectacular views! Perked, surveyed, ready to build with your builder's approved plans. Some covenants apply. Private dead-end road. Choose from Lot 1 or 3 in Twin Peak Estates. Convenient rural location minutes from town, 15 minutes to Red Wing, MN, or 40 minutes to Twin Cities Metro! Owner financing available!
Amenities
|
- REAL ESTATE TOOLS
N3550 670th St Ellsworth, WI
Add to Clipboard
View Clipboard
Email This Listing
Print This Page