- SEARCH ALL Listings
-
- MORTGAGE CALCULATOR
-
Price: $ Interest Rate: Down Payment: $ Mortgage Term: Payment: $
$160,000Commercial/Industrial in Minong


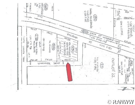
| Address: | 600 DENNINGER DR. | ||
| Area: | 58 - Northwood Schl Dist | Price: | $160,000 |
| Zip Code: | 54859 | Size: | 10,800 |
| County: | Washburn | Bedroom: | |
| Lake/River: | Bath: | ||
| School District: | Northwood | Acreage: | 1.7 |
| Year Built: | Basement: | Slab | |
| MLS #: | 827856 | Garage: | |
Description: FORMER MACHINE & WELDING SHOP OVER 10,000 SG FT. THE EAST 60 X 80 IS FINISHED WITH 12 INCH OUTSIDE WALLS, 16 FT CEILING HEIGHT, 2- 14 X 14 O/H DOORS W/OPENERS, REMAINING 60 X 100 HAS INSULATED WALLS, DIRT FLOORS,OPEN RAFTERS AND 1 14 X 14 O/H DOOR W/NO OPENER FINISH TO YOUR OWN NEEDS.
Amenities
|
- REAL ESTATE TOOLS
600 DENNINGER DR. Minong, WI
Add to Clipboard
View Clipboard
Email This Listing
Print This Page