- SEARCH ALL Listings
-
- MORTGAGE CALCULATOR
-
Price: $ Interest Rate: Down Payment: $ Mortgage Term: Payment: $
$33,000Vacant Land in Eau Claire


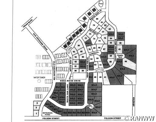
| Address: | Lot 38 County Farm Rd | ||
| Area: | 03 - Ec Schl/Westside | Price: | $33,000 |
| Zip Code: | 54703 | Size: | 0 |
| County: | Eau Claire | Bedroom: | |
| Lake/River: | Bath: | ||
| School District: | Eau Claire | Acreage: | |
| Year Built: | Basement: | ||
| MLS #: | 826617 | Garage: | |
Description: City of Eau Claire lots with all street and utility improvements completed and ready to build. Conveniently located, well established West side subdivision with healthy supporting neighborhood home values. Choose your own builder, or we will assist with your building process. Spec builders welcome.
Amenities
|
- REAL ESTATE TOOLS
Lot 38 County Farm Rd Eau Claire, WI

Sell My Home
My Home Worth
Schedule Viewing
Add to Clipboard
View Clipboard
Email This Listing
Print This Page