- SEARCH ALL Listings
-
- MORTGAGE CALCULATOR
-
Price: $ Interest Rate: Down Payment: $ Mortgage Term: Payment: $
$22,500Vacant Land in Eau Claire


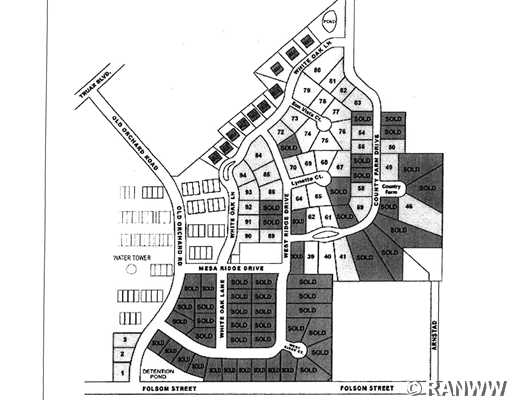
| Address: | Lot 03 Old Orchard Rd | ||
| Area: | 03 - Ec Schl/Westside | Price: | $22,500 |
| Zip Code: | 54703 | Size: | 0 |
| County: | Eau Claire | Bedroom: | |
| Lake/River: | Bath: | ||
| School District: | Eau Claire | Acreage: | |
| Year Built: | Basement: | ||
| MLS #: | 826586 | Garage: | |
Description: City of Eau Claire lots with all street and utility improvements completed and ready to build. Conveniently located, well established West side subdivision with healthy supporting neighborhood home values. Choose your own builder, or we will assist with your building process. Spec builders welcome.
Amenities
|
- REAL ESTATE TOOLS
Lot 03 Old Orchard Rd Eau Claire, WI
Add to Clipboard
View Clipboard
Email This Listing
Print This Page