





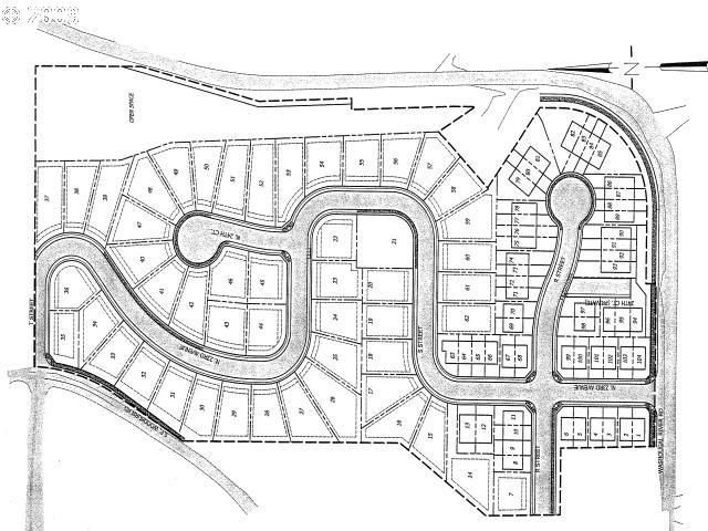
104 lot subdivision. Preliminary approval with surveying, engineering, storm water design ready for final plat approval. Zoned AR-16, but platted for 50 Single Family Detached Lots & 54 Common Wall Lots. Home on one lot could stay. Beautiful territorial views and some with views of Mt. Hood, Washougal & Columbia Rivers. Currently named "Greenview Estates." Seller will consider trade, exchange or joint venture.