- SEARCH ALL Listings
-
- MORTGAGE CALCULATOR
-
Price: $ Interest Rate: Down Payment: $ Mortgage Term: Payment: $
$119,000in Salem


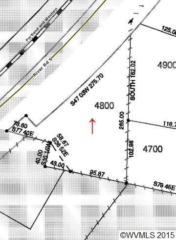
| Address: | River | ||
| Location: | Salem, OR | Price: | $119,000 |
| Zip Code: | 97302 | Size: | 0 |
| County: | Marion | Bedroom: | |
| Neighborhood: | Fairmount View Add | Bath: | |
| Year Built: | Acreage: | 0.52 | |
| MLS #: | 692105 | Basement: | |
| Garage: | |||
Description:
Amenities
|
Schools McKinley Leslie South Salem |









Add to Clipboard
View Clipboard
Schedule a Viewing
Print This Page