- SEARCH ALL Listings
-
- MORTGAGE CALCULATOR
-
Price: $ Interest Rate: Down Payment: $ Mortgage Term: Payment: $
$69,900in Keizer


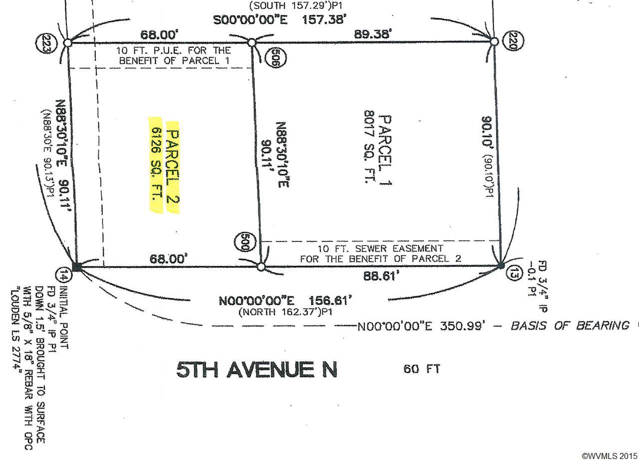
| Address: | 3879 5th | ||
| Location: | Keizer, OR | Price: | $69,900 |
| Zip Code: | 97303 | Size: | 0 |
| County: | Marion | Bedroom: | |
| Neighborhood: | River Glen Acres | Bath: | |
| Year Built: | Acreage: | 0.14 | |
| MLS #: | 691892 | Basement: | |
| Garage: | |||
Description:
Amenities
|
Schools Cummings Claggett Creek McNary |









Add to Clipboard
View Clipboard
Schedule a Viewing
Print This Page