Search
- advertisement -
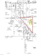
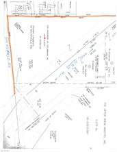
$379,900 Springfield Rd Columbiana OH
Virtual Tour:
Land in Columbiana
$379,900
| Bedrooms: | MLS ID: | 3793495 | ||
| Bathrooms: | Neighborhood: | |||
| Square Feet: | 0 | County: | Columbiana | |
| Year Built: | Garage: | |||
| Acreage: | 6.45 | Basement: |
Springfield Rd Columbiana OH 44408
This one has THEE Location - Thee location - Thee Location ! Plus it has all the City Utilities available already . In addition, this 6 acre parcel offers FRONTAGE on 2 roads , one being State Route 14 . Please know it is Zoned C4 . This parcel is surrounded by businesses that are currently using the City Of Columbiana Utilities . NO need for extremely expensive Commercial septic and water systems ! YES City Water , Gas , City Electric & City Sewer is here , all you have to do is tap in .
Virtual Tour:
Elementary School: Columbiana EVSD
Middle School: Columbiana EVSD
High School: Columbiana EVSD
Middle School: Columbiana EVSD
High School: Columbiana EVSD
- Lot Description: Corner
- Driveway: None
- Topography: Cleared
- Water and Sewer: Public Sewer,Public Water
Mortgage Calculator
Price: $
Down: $
Interest Rate: $
Mortgage Term: $
Payment: $
sponsored by:









Schedule a Viewing
Add to Clipboard
View Clipboard
Print This Page