Search
- advertisement -
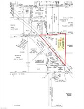
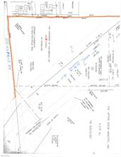
$379,900 St Rt 14 Columbiana OH
Virtual Tour:
Commercial in Columbiana
$379,900
| Bedrooms: | MLS ID: | 3793510 | ||
| Bathrooms: | Neighborhood: | |||
| Square Feet: | 0 | County: | Columbiana | |
| Year Built: | 2015 | Garage: | ||
| Acreage: | Basement: |
St Rt 14 Columbiana OH 44408
This one has THEE Location - thee location and thee location !! In addition , it has all the city utilities already there . PLUS this 6+ acre parcel offers frontage on 2 roads , one being STATE Route 14 . Please know it is zoned C4 . This parcel is surrounded by businesses currently operating with City of Columbiana utilities . That means NO need for extremely expensive Commercial septic and water systems . All you need to do is tap in to YES City Electric , City Sewer , City Water and have the option of Gas too !
Virtual Tour:
Elementary School:
Middle School:
High School:
Middle School:
High School:
- Current Use: vacant lot zoned commercial C 4
- Water and Sewer: Public Sewer,Public Water
Mortgage Calculator
Price: $
Down: $
Interest Rate: $
Mortgage Term: $
Payment: $
sponsored by:









Schedule a Viewing
Add to Clipboard
View Clipboard
Print This Page