Search Listings

Residential Lot/Land in Rochester

TBD 18TH SW Avenue Rochester, MN

$349,900

Details for TBD 18TH SW Avenue Rochester, MN 55902
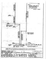
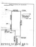
Description: NEW PRICE-driveway access, survey- awaiting development. Looking to build? Look no further! This 26.04 acre parcel is located between Echo Ridge and Bamber Valley and waiting for development. There are 3 proposed layouts available or create your own.

Virtual Tour:

Bedrooms
Bathrooms
Square Feet0
Acres26.04
MLS ID:4067815
Year Built:
County:Olmsted
Neighborhood:
Garage:
Basement:
Elementary School:Bamber Valley
Middle School:Willow Creek
High School:Mayo
Amenities for TBD 18TH SW Avenue Rochester, MN 55902
  • Approx Lot Dimension: 1,134,302.4
  • Lot Description: Irregular Lot,Tree Coverage-Medium
  • Development Status: Raw Land
  • Land Improvements: None
  • Topography: Sloped
  • Additional Info: Survey
Mortgage Calculator




Payment: $