| SteamboatHomefinder.com Listing Detail | ||||||||||||||||||||||||||||||||||||||||
|
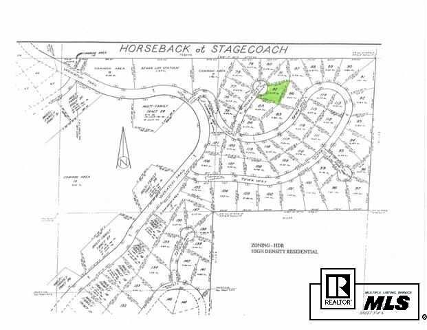
$15,900Residential with Acreage in Oak Creek
![]()
Description: Wonderful lot with an incredible building site in Horseback. Lot 82 is .590 of an acre and is on a cul-de-sac. Lot backs to an adjacent lot for sale on Tewa Way, lot 86, and both lots can be purchased. This is an easy build and ready to be sold today!
21508 Oglala Way Oak Creek, CO
|
||||||||||||||||||||||||||||||||||||||||








Add to Clipboard
View Clipboard
Schedule a Viewing
Print This Page