Lot/Land in Coalinga

Elm Coalinga,

$225,000

Details for Elm Coalinga, 93210
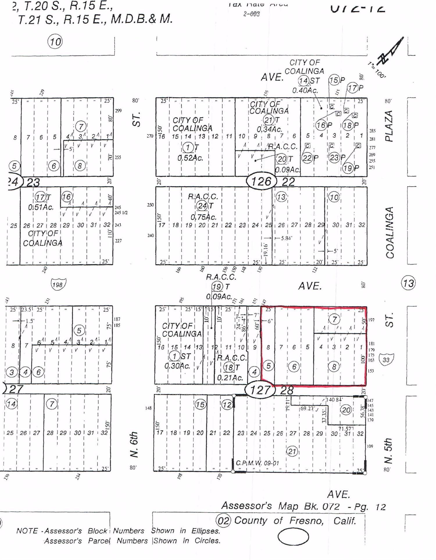
Description: Vacant lot located on the SE corner of Elm Ave. & 5th St. Across the street from The Pit Stop and Movie Theater. There are four APN's included: 072-127-05 which is 3920 sq.ft., 072-127-06 which is 11,325 sq.ft., 072-127-07 which is 4791 sq.ft. & 072-127-08 which is 10,018 sq.ft. for a total of 30,054 sq.ft.

Bedrooms
Bathrooms
0 Square Feet
0.09 Acres
MLS ID: 210777
County: Fresno
Neighborhood: City
Year Built:
Garage:
Basement:
Elementary School:
Middle School:
High School:

  • Lot Measurement: SqFt
  • Best Use: Commercial
  • Crops: No
  • Current Use: Bare Land
  • Equipment Included: None
  • Irrigation: None
  • Lot Description: Corner Lot
  • Topography: Flat
  • Zoning: C-4

Mortgage Calculator




Payment: $