Lot/Land in Lemoore

22311 Grangeville Lemoore,

$660,440

Details for 22311 Grangeville Lemoore, 93245
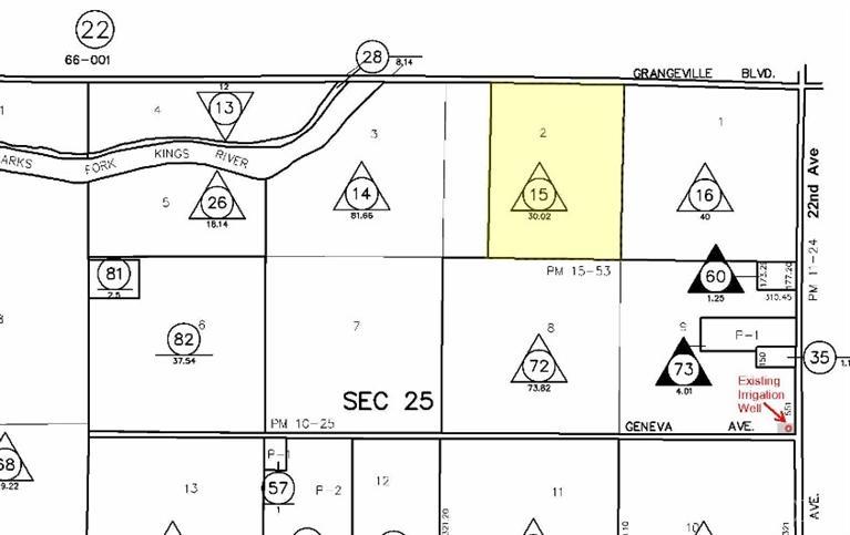
Description: 30.02 Acres of farm ground located on the South side of South Fork Kings River in Lemoore. This land is also zoned for a Rural Home site and has District Water and a Water Price Agreement with surrounding property for water. There is an adjoining 73.82 Acre parcel that is also for sale with an 850' Ag Well. Land has been in constant Cotton, Wheat and Corn Rotation. PVC pipeline for irrigation. This property is in the Williamson Act.

Bedrooms
Bathrooms
0 Square Feet
30.02 Acres
MLS ID: 210290
County: Kings
Neighborhood: Rural
Year Built:
Garage:
Basement:
Elementary School:
Middle School:
High School:

  • Lot Measurement: Acres
  • Best Use: Agricultural
  • Crops: No
  • Current Use: Row Crop
  • Irrigation: Shared Pipeline
  • Lot Description: Farm Lot
  • Topography: Flat
  • Water Supply: Irrigation District,No Well,Shared Pipeline
  • Zoning: Rural Residential

Mortgage Calculator




Payment: $