-Advertisement-

Land in Calexico

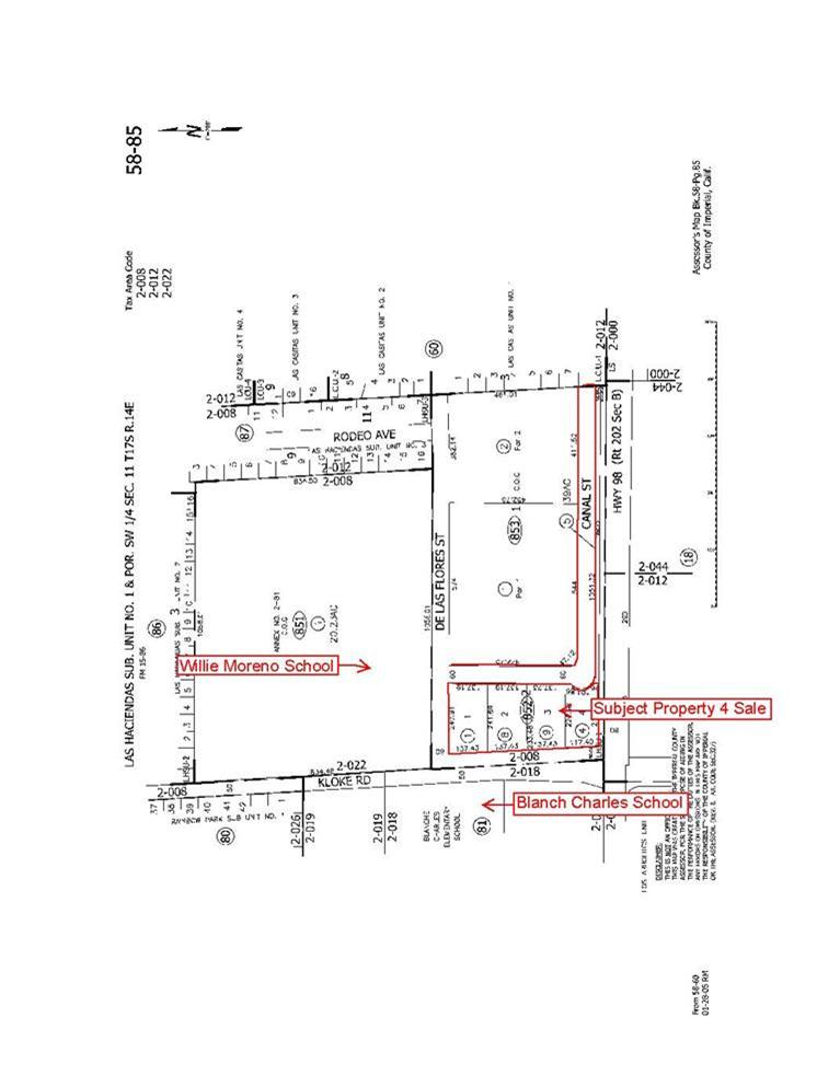
Hwy 98 & Kloke Calexico, CA

$499,000

Virtual Tour:
Details for Hwy 98 & Kloke Calexico, CA 92231
Description: Excellent commercial land site located at the NEC signalized corner of Hwy 98/Kloke in Calexico. High residential density in this area with Willie Moreno Jr. High situated directly behind this site & Blanche Charles elementary school across the street. Jack-n-Box, Chevron & Arco AM/PM on the south corners. There are tentative approved plans by the city for 45,000sf of retail/office space on this corner with high visibility and high traffic counts.

Bedrooms
Bathrooms
189,050 Square Feet
4.34 Acres
MLS ID: 32893
County: Imperial
Neighborhood:
Year Built: 0
Garage:
Basement:
Elementary School:
Middle School:
High School:

  • Access: City Street
  • Assessment: $559
  • Curb/Gutters: Yes
  • Electricity: In Street
  • Fence: None
  • Gas: Natural
  • Legal: Legal description is in escrow
  • Present Use: Vacant
  • Road Frontage: Yes
  • School: W. Moreno Jr High
  • Septic: No
  • Sewer: City
  • Water: City
  • Zone: CN

Compare
Mortgage Rates
Bankrate.com