-Advertisement-

Land in Calexico

Spud Moreno St Calexico, CA

$1,720,000

Virtual Tour:
Details for Spud Moreno St Calexico, CA 92231
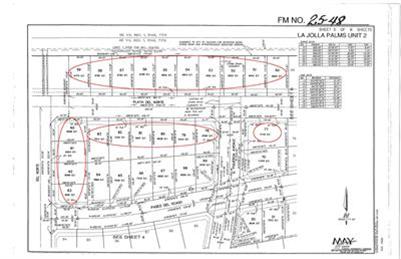
Description: Ready to Build,43 mapped lots with plans for homes ranging 1,285-3,816 sf.Lot size range is 6,000-11,000 sf.Curb,Gutter,paved street,water,sewer,street lights already in.Located just east of Walmart in the La Jolla Palms Subdivision(Unit 2).The lots are located on Spud Moreno,Playa Del Norte and Del Norte.

Bedrooms
Bathrooms
7,408 Square Feet
0.17 Acres
MLS ID: 31379
County: Imperial
Neighborhood:
Year Built: 0
Garage:
Basement:
Elementary School:
Middle School:
High School:

  • Access: City Street,Paved
  • Assessment: checking
  • Curb/Gutters: Yes
  • Disclosure: CC&R's
  • Electricity: In Street
  • Fence: None
  • Gas: Natural
  • Present Use: Other
  • School: Calexico
  • Septic: No
  • Sewer: City
  • Survey: Yes
  • Staked: Yes
  • Water: City
  • Zone: R-1

Compare
Mortgage Rates
Bankrate.com