-Advertisement-

Land in Calexico

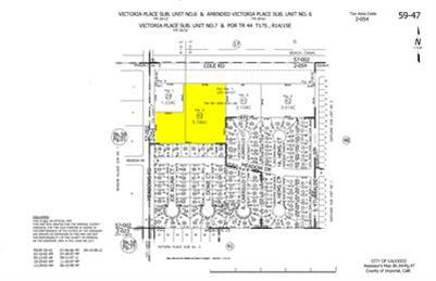
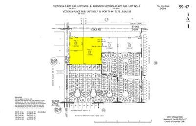
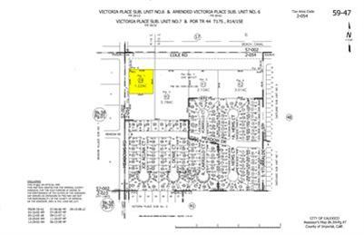
1100 COLE Rd Calexico, CA

$850,000

Virtual Tour:
Details for 1100 COLE Rd Calexico, CA 92231
Description: Great Commercial corner ready for developtment. Parcel next to can be purchase together. Call for details.Parcel map attached please note that the subject parcel are next to the highlighted parcels.

Bedrooms
Bathrooms
53,143 Square Feet
1.22 Acres
MLS ID: 29462
County: Imperial
Neighborhood:
Year Built: 0
Garage:
Basement:
Elementary School:
Middle School:
High School:

  • Access: City Street
  • Assessment: checking
  • Curb/Gutters: Yes
  • Electricity: In Street
  • Fence: None
  • Gas: None
  • Present Use: Commercial,Vacant
  • Road Frontage: Yes
  • School: Calexico
  • Septic: No
  • Sewer: City
  • Water: City
  • Zone: Commercial

Compare
Mortgage Rates
Bankrate.com