- SEARCH undefined County
-
- MORTGAGE CALCULATOR
$399,000Lot-Land in


| Address: | 2037 MEANDER RUN | ||
| Location: | LOCUST DALE, VA | Price: | $399,000 |
| Zip Code: | 22948 | Size: | 0 |
| County: | MADISON | Bedroom: | |
| Neighborhood: | METES AND BOUNDS | Bath: | 0 |
| Tax Year: | Acreage: | 34.460009 | |
| Year Built: | Basement: | N | |
| MLS #: | MA7764480 | Garage: | |
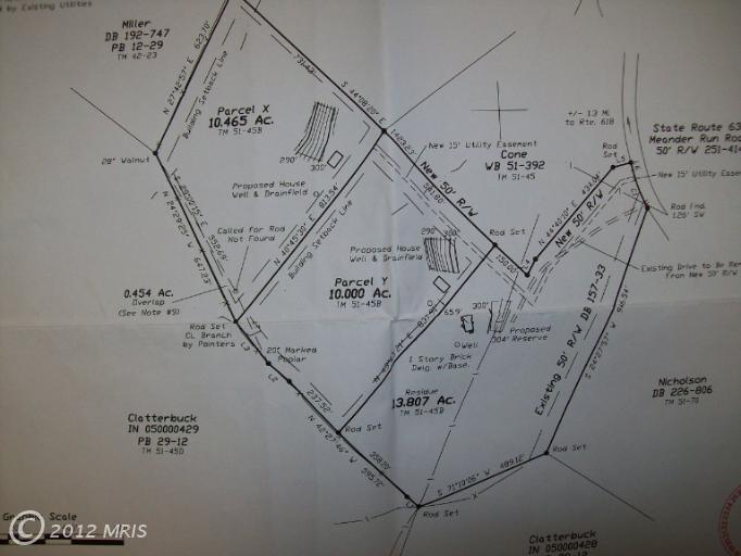
Description: 34 acres is the last of the farm in Madison County already subdivided with approved well and drainfield sites. 3 parcels, 51-45B, 51-45G and 51-45F to be sold together. See photos for plat, topo and aerial. Old house on site to be demolished if buyer wishes.
Amenities
|
Schools |
- REAL ESTATE TOOLS
2037 MEANDER RUN LOCUST DALE, VA
- ADVERTISING
- ADVERTISING
- ADVERTISING

Add to Clipboard
View Clipboard
Email This Listing
Schedule a Viewing
Print This Page