- SEARCH undefined County
-
- MORTGAGE CALCULATOR
$119,900Lot-Land in


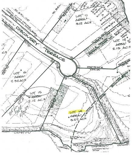
| Address: | DISCOVERY TER | ||
| Location: | EASTON, MD | Price: | $119,900 |
| Zip Code: | 21601 | Size: | 0 |
| County: | ESSHOMES | Bedroom: | |
| Neighborhood: | HIGH BANKS | Bath: | 0 |
| Tax Year: | Acreage: | 3.269995 | |
| Year Built: | Basement: | N | |
| MLS #: | TA7756902 | Garage: | |
Description: One of the nicest lots in the High Banks subdivision. Cul-de-sac lot. Build your dream home. Lot is perc approved but will need to be re-evaluated prior to building. Also has a designated SDA.
Amenities
|
Schools CALL SCHOOL BOARD CALL SCHOOL BOARD CALL SCHOOL BOARD |
- REAL ESTATE TOOLS
DISCOVERY TER EASTON, MD
- ADVERTISING
- ADVERTISING
- ADVERTISING

Add to Clipboard
View Clipboard
Email This Listing
Schedule a Viewing
Print This Page